Pépinière de La Genête - Plantes de collection pour jardin botanique - Miel et Gelée Royale

Retour Retour < Hydrangea anomala 'Kuga Variegated' ou bien le genre Hydrangea

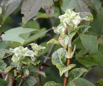
Hydrangea anomala 'Kuga Variegated'

Hortensia grimpant originaire des montagnes himalayennes. Il a des petites feuilles vertes qui rougissent en automne et tout l'hiver. En juin, nombreuses inflorescences blanches. Son feuillage est persistant ou semi-persistant mais peut aussi devenir caduc en cas de grands froids mais sans conséquences pour la plante. A planter en situation ombragée dans un sol fertile pas trop sec. La plante s'accroche seule sur son support et sera superbe à grimper sur un tronc d'arbre. z7

'Kuga Variegated' est une variété rare dont les feuilles des jeunes pousses sont fortement panachées de blanc. Une plante très lumineuse à l'ombre. Plants de 80/100 cm, bien fournis. Quantité très limitée.

Plante actuellement indisponible, inscrivez-vous pour recevoir une alerte dès sa remise en vente ! / Out of stock, click here to receive an email when it's available !

Nos conseils d'association

Visite virtuelle du jardin + Où nous trouver

copyright 2009 © codesign & Servane Tranchant / CGV et Conditions de Vente